강아지 관절염 증상 및 관절 영양제,보호대,약
- 반려견 생활 정보 TIP
- 2023. 2. 3. 00:13
강아지 관절염 증상 및 관절 영양제, 보호대, 약에 대해 알려드리겠습니다. 관절염은 강아지라면 피할 수 없는 질병이며 사람과 마찬가지로 나이가 들수록 관절에 문제가 생길 수밖에 없습니다. 관절염에 좋은 영양제 및 관절염을 예방할 수 있는 모든 정보를 알려드리겠습니다.
강아지 관절염의 모든 것
반려견을 키우는 분들이라면 반드시 알아야 하는 질병이 관절염입니다. 특히 슬개골(무릎뼈) 탈구 증상에 취약한 소형견이나 체중이 많이 나가는 대형견 및 모든 강아지들이 나이가 들수록 관절염에 취약하게 됩니다. 관절염은 평생 주의해야 할 질환으로 평소에 관절염을 예방할 수 있어야 합니다.
강아지 관절염이란


강아지 관절염은 노령견일수록 많이 발병하는 퇴행성 질환입니다. 강아지 관절염의 원인은 다양하며 꾸준히 건강검진을 통해 초기에 발견하고 치료하는 것이 중요합니다. 강아지 관절염은 관절을 감싸고 있는 연골의 퇴화로 인해 발병하게 됩니다. 이러한 변성은 관절 운동 범위를 감소시키며 통증을 유발합니다. 많은 강아지들은 통증을 느껴도 티를 내지 않기 때문에 관절염을 초기에 발견하는 것이 쉽지 않습니다. 이러한 이유로 꾸준한 정기검진이 필요합니다.
관절염에 취약한 강아지 견종
모든 강아지들이 관절염을 주의해야 하지만 특히 더 조심해야 하는 견종이 있습니다. 슬개골 탈구에 취약한 소형견 및 체중이 많이 나가는 견종일수록 특히 관절염을 조심해야 합니다. 또한 모든 견종이 나이가 들수록 연골이 퇴화되면서 관절염 발병 가능성이 높아지므로 어릴 때부터 관절에 좋은 영양제 및 생활습관을 길러야 합니다. 또한 유전적으로 복서견, 차우차우, 사모예드, 달마티안은 일차 퇴행성 관절 질환의 영향을 받는다고 합니다.
강아지 관절염 증상


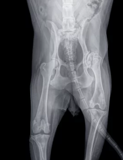
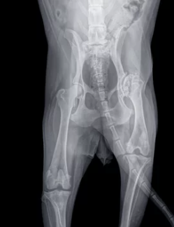
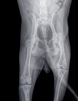
우선 강아지 관절염은 소량의 관절 액체를 채취하여 임상실험 및 방사선 촬영을 활용하여 진단받을 수 있습니다. 또한 X-ray도 관절의 손상도를 알아볼 수 있어 관절염을 진단하는데 도움이 됩니다. 이러한 검진 이전에 평소 생활에서 다음과 같은 행동을 보이면 관절염의 증상으로 의심해 볼 수 있습니다.
- 평소와 다르게 절뚝이며 걷는다
- 잘 움직이지 않고 서있는 것도 힘들어한다.
- 조금만 움직여도 피곤해하고 무기력하다
- 다리 부위를 만지면 예민하게 반응하고 공격성을 보인다.
- 계단을 오르고 내려오는 것을 하지 못한다.
강아지 관절염을 예방하기 위한 생활 습관
관절염은 평생 조심해야 할 질환으로 평소에 생활습관을 통해 예방하는 것이 좋습니다.
- 식이조절, 규칙적인 운동을 통해 체중관리를 해주어야 합니다.
- 무리한 운동보다는 가볍게 산책하는 것이 좋으며 높은 곳에서 뛰어내리지 않도록 관리해야 합니다.
- 오르내리는 가구에는 경사로나 낮은 계단을 두어 뛰어내리고 오르지 않게 합니다.
- 바닥이 미끄러우면 관절에 무리가 가기 때문에 미끄럼 방지패드 및 카페를 깔아주면 좋습니다.
- 강아지 전용 오메가 3, 글루코사민, 콘드로이틴 등이 관절염에 효과적입니다.
강아지 관절에 좋은 사료 및 영양제, 약

강아지 관절염을 위해 평소에 관절에 좋은 단백질, 아미노산, 철분, 칼슘 등이 풍부한 북어가 좋습니다. 요즘 북어를 말린 수제 간식도 시중에 많이 있으며 소형견이나 노령견은 북어로 만든 간식을 주면 관절에 좋습니다. 또한 비타민이 풍부한 단호박도 좋습니다. 최근 강아지 관절에 대한 관심이 높아지면서 관절에 맞춘 사료를 쉽게 구매할 수 있습니다.
만일 관절염이 이미 진행되어 통증이 심한 경우 '비스테로이드성 소염제'를 처방받는 것을 추천드립니다. 비스테로이드성 소염제는 통증을 줄일 수 있습니다. 다만 구토, 위염등 부작용이 있을 수 있으니 복용 시 주의해야 합니다.